Die Stadtverordnetenversammlung der Stadt Viernheim hat in ihrer Sitzung am 18.12.2025 gemäß § 46 BauGB die Anordnung der Baulandumlegung für das Gebiet in Viernheim, im Bereich „Nordweststadt II“ zum Zwecke der Erschließung von neuem Bauland beschlossen.
Der Magistrat der Stadt Viernheim als Umlegungsstelle hat in seiner Sitzung am 10.02.2026 folgenden Beschluss gefasst:
Der Magistrat der Stadt Viernheim beschließt gemäß § 47 BauGB nachfolgende Grundstücke in der Gemarkung Viernheim umzulegen:
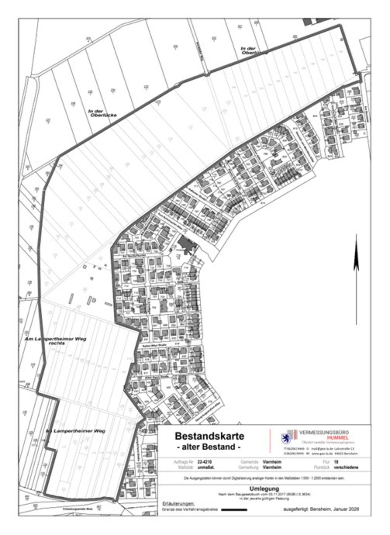
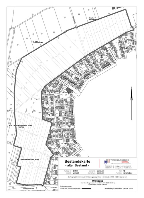
Flur 18 Flurstücke Nr. 114/1, 115/1, 116, 117, 118, 119, 120/1, 120/2, 121/1, 121/2, 121/3, 122, 123/1, 124/1, 133/7, 134/1, 135, 136, 137, 138, 139, 140/1, 140/2, 141, 142, 143, 144, 145, 146/2, 147/2, 150/3, 153/1, 156/8, 157/6, 158/6, 159/4, 161/4, 162/4, 163/3, 164/3, 165/1, 166/2, 166/3, 168/1, 169/1, 172/1, 173/1, 174/1, 175/1, 177/1, 178/1, 179/1, 180, 181, 182, 183, 184, 185, 186, 187, 188, 189, 190, 191, 192, 257/2, 257/3, 257/5, 258/7, 259/2, 260/9, 264/3, 446/1, 674, 944
Das Umlegungsgebiet trägt die Bezeichnung „Nordweststadt II“ und wird begrenzt
im Norden: durch den Waldfriedhof und die südliche Grenze der Feldwegegrundstücke Nr. 265/2 und Nr. 275/2, In der Oberlücke;
im Osten: durch die Bebauung Nordweststadt I;
im Süden: durch den Kreisel Wormser Straße/Nibelungenstraße und die Entlastungsstraße West;
im Westen: durch die Lärmschutzanlage;
und umfasst das Gebiet, das innerhalb der in der beigefügten Karte eingezeichneten Umgrenzungslinie liegt.
Die beigefügte Karte ist Bestandteil des Umlegungsbeschlusses.
